- May 5 @ 1:00pm EDT
- Add to Calendar
BANK ORDERED
AUCTION
THURSDAY, MAY 5th * 1:00 PM
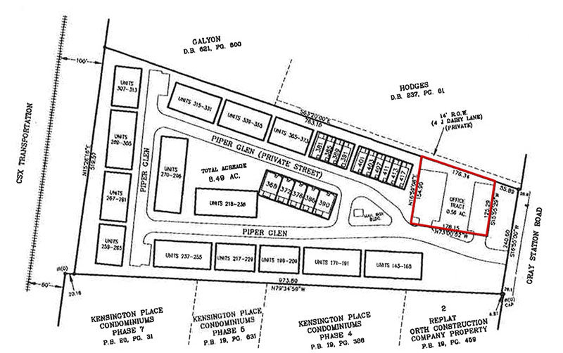
PIPER GLEN
STONEGATE AT GRAY
GRAY, TN
PRIME R-3 LOT
.56 ACRE +/-
THIS PRIME LOCATION IN THE HEART OF GRAY IS AS GOOD AS IT GETS * THIS PART OF WASHINGTON COUNTY IS ON FIRE AND WOULD BE A GREAT SITE FOR ANY DEVELOPER * PLAT IS ONLINE FOR YOUR VIEWING * THIS GRADE LEVEL 0.56 ACRE +/- SITE IS READY FOR YOUR BUILD * DON’T MISS THIS ONE - THE BANK SAYS “SELL IT” *
* GREAT LOCATION *
REMEMBER THIS IS A
THURSDAY SALE !
DIRECTIONS: FROM BOBBY HICKS HWY: TURN ONTO ROY MARTIN ROAD AT BANK OF AMERICA, TO RIGHT ON GRAY STATION ROAD, TO LEFT ON PIPER GLEN * PROPERTY ON RIGHT * SEE SIGNS *
VIEWING: VIEWING OF REAL ESTATE WILL BE 12:00 PM ON DAY OF SALE OR DRIVE BY AT YOUR CONVENIENCE *
REAL ESTATE TERMS: 10% DOWN ON DAY OF SALE * PROPERTY SOLD “AS IS-WHERE IS” WITH NO WARRANTIES OR REPRESENTATION OF ANY KIND * 10% BUYERS PREMIUM ADDED TO HIGH BID TO DETERMINE THE FINAL CONTRACT PRICE *





