- May 5 @ 3:00pm EDT
- Add to Calendar
BANK ORDERED
AUCTION
THURSDAY, MAY 5th * 3:00 PM
MANCHESTER PLACE
(CHADSWORTH SUBDIVISION)
BRISTOL, TN
6 LOTS
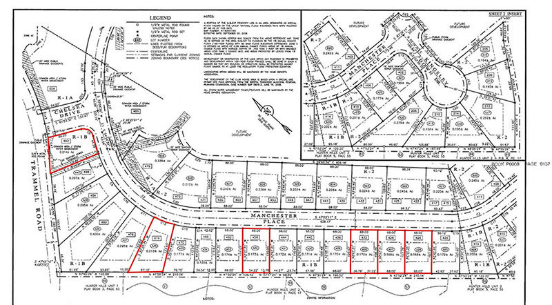
THIS IS A PRIME LOCATION IN BRISTOL, TN OFFERING 6 LOTS AS FOLLOWS:
424 MANCHESTER PLACE – .168 ACRES +/-
428 MANCHESTER PLACE - .169 ACRES +/-
432 MANCHESTER PLACE – .170 ACRES +/-
456 MANCHESTER PLACE - .173 ACRES +/-
474 MANCHESTER PLACE - .213 ACRES +/-
492 MANCHESTER PLACE - .214 ACRES +/-
CHADSWORTH SUBDIVISION IS LOCATED IN ONE OF BRISTOL, TN BEST RESIDENTIAL AREAS, BEING LOCATED BETWEEN KING COLLEGE ROAD AND TRAMMELL ROAD * ALL PROPERTIES LAY WELL AND GIVE AN AMAZING OPPORTUNITY WHETHER YOU ARE A SINGLE BUYER LOOKING TO BUILD YOUR DREAM HOME OR A COMMERCIAL HOME BUILDER LOOKING FOR A PERFECT PLACE TO BUILD OUT IN A GREAT NEIGHBORHOOD, THIS IS IT * DRIVE BY TODAY, PLAT IS AVAILABLE ONLINE *
* THERE IS GREAT POTENTIAL HERE, DON’T MISS IT *
REMEMBER THIS IS A THURSDAY SALE ! !
DIRECTIONS: FROM DOWNTOWN BRISTOL – GO EAST ON STATE STREET (WHICH WILL TURN INTO KING COLLEGE ROAD), GO TO STOP SIGN, TURN LEFT CONTINUING ON KING COLLEGE ROAD, TO RIGHT ON TRAMMELL ROAD TO LEFT ON CHELSEA DRIVE, TO RIGHT ON MANCHESTER PLACE * SEE SIGNS *
VIEWING: VIEWING OF REAL ESTATE WILL BE 2:00 PM ON DAY OF SALE OR DRIVE BY AT YOUR CONVENIENCE *
REAL ESTATE TERMS: 10% DOWN ON DAY OF SALE * PROPERTY SOLD “AS IS-WHERE IS” WITH NO WARRANTIES OR REPRESENTATION OF ANY KIND * 10% BUYERS PREMIUM ADDED TO HIGH BID TO DETERMINE THE FINAL CONTRACT PRICE * PROPERTY WILL BE SOLD IN TRACTS, LOTS AND AS WHOLE, 5% GROUPING FEE WILL APPLY *







